为什么热带风暴正在变得越来越“危险”?
9月13日,当中国东部沿海的人们密切关注着强台风“灿都”的一举一动之际,大洋彼岸的美国,仍然未从一连串的飓风重创下恢复过来。(编者注:热带气旋/风暴在大西洋称飓风、西北太平洋称台风、南太平洋和印度洋称旋风。)
8月29日,四级飓风“艾达”在美国南部的路易斯安那州新奥尔良市附近的海岸登陆。16年前的同一天,三级飓风“卡特里娜”在这里登陆后,造成了美国南部和东部多个州1800多人死亡,超过1000亿美元的财产损失,是美国历史上最严重的飓风灾害事件。
16年后,飓风“艾达”不仅再次重创这一地区,更是罕见地在美国内陆“长途奔袭”1000多公里,给东北部最富裕发达的大都会地区带去了致命的暴雨和洪水。包括纽约在内多个城市被淹,数十人不幸被淹死在自己的家中。
2020年,仅仅在大西洋地区就生成了多达30个飓风,就像电影《环太平洋》中扑向陆地的海底巨兽,给许多地区带来了巨大的破坏和影响,甚至一度使得当年气象学家为飓风命名的名单不够用。
对于气象学家和关注全球气候变化的人们来说,刚刚过去的这个夏天更是令人“眼花缭乱”:全球主要热带风暴发源地都记录下了多个以极快速度形成的超级热带风暴。人们担心,今年的风暴是否会再次创下新的纪录?
尽管仍有许多不确定之处,但是热带风暴和气候变化之间的联系正在变得越来越明显。今年8月发布的联合国气候报告得出了这样的结论:由于气候变化,热带风暴正在变得更猛烈、增强得更快、在一些地区滞留时间更长,从而导致更多的降雨引发的次生灾害。
总体来说,热带风暴对于人类的影响正在变得更加复杂、威胁更大。

风暴猛烈
5月23日,飓风“安娜”成为2021年第一个被命名的大西洋热带风暴,这是在每年6月1日飓风季正式开始之前,大西洋上连续第七年出现“赶早”的飓风。
5月初,美国国家海洋和大气管理局气象局(NOAA)的科学家预测,今年将有13到20个热带风暴,其中6到10个可达到飓风级别。NOAA在8月初更新了这一预测——到今年11月30日飓风季节结束时,预计将有15到21个热带风暴,其中包括7到10个飓风。
8月中旬,热带风暴“弗雷德”在美国佛罗里达登陆;与此同时,飓风“格蕾丝”袭击了海地和墨西哥;8月22日,飓风“亨利”给美国东北部带来了创纪录的降雨。不过一周多后,这一纪录就被另一个飓风“艾达”刷新。
NOAA的数据显示,纽约市9月1日遭遇了五百年一遇的降水事件。美国国家气象台1日晚间发布了纽约市大都市区的暴洪紧急状态警告(Flash Flood Emergency),这是该地区历史上首个暴洪紧急状态警告。
这场飓风对美国的“创伤”还没有消失。美国国家飓风中心表示,9月12日刚刚在墨西哥湾形成的第14号热带风暴“尼古拉斯”可能会在13日和14日给南部的得克萨斯州和路易斯安那州沿海地区带来极端降雨,部分地区可能发生“相当大的山洪和城市洪水”。
热带风暴主要会给人类社会带来三种危害:大风、大雨和咸水风暴潮,其中最致命和最具破坏性的威胁是风暴潮。而全球变暖导致的海平面上升正使得风暴潮变得更加危险。
宾夕法尼亚州立大学气象学家迪德莱克(Anthony Didlake Jr.)在接受美国有线电视新闻网(CNN)采访时解释说,风暴潮的高度和范围取决于飓风的强度和规模,但海平面的上升正在提高海洋的基线高度。
“当飓风到来时,更高的海洋基线意味着风暴潮可以将水带到更远的内陆,从而产生更危险和更广泛的影响。当风暴潮袭击重要的沿海城市时,生命和财产的损失是巨大的。”迪德莱克说。

气候变化推手
热带风暴是以温暖的海水和潮湿的空气为“燃料”。科学家们表示,全球变暖正在使它们从多个方面变得更加“危险”。
首先,以2020年的大西洋飓风季为例,为何会有如此多的热带风暴产生?它们又带来了怎样的风险?
宾夕法尼亚州立大学的大气科学家詹姆斯·鲁珀特和佛罗里达州立大学的艾莉森在一篇相关研究论文中指出了气候变化在增加飓风风险方面的作用。
首先,2020年赤道附近的太平洋形成了比预期更强烈的“拉尼娜现象”(又称反圣婴现象,是一种和厄尔尼诺现象相反的现象,即“东太平洋降温阶段”)使得热带大西洋变得更加适宜风暴的形成和加强。
第二个关键因素是大西洋海面,包括墨西哥湾和加勒比海极端温暖的气温。飓风的动力来自于从海洋到大气层的热量传递。海洋表面温度决定了风暴能达到的最大潜在强度,而2020年大西洋接近历史最高水平的温度无疑为飓风的生成和加强提供了最佳条件。
“海洋温度控制着热带风暴的潜在强度,我们正在目睹的大西洋变暖趋势可能是风暴增多增强趋势背后的推手,预计这种趋势将持续下去。”上述分析指出。
尽管科学家们尚不能确定气候变化是否会导致飓风数量的增加,但可以确定的是,海洋温度升高和海平面上升会加剧飓风的强度和破坏影响。联合国政府间气候变化专门委员会(IPCC)最近的报告也得出了类似的结论。
“全球变暖最明显的影响是,随着温度升高,更多的水分蒸发到大气中,从而导致极端降雨事件增加,就像2017年‘哈维’飓风期间看到的那样。展望未来,我们预计飓风和降雨将继续增加。”报告中说。
科学家们确信,气候变化增加了风暴产生的降雨量,从而加剧了热带风暴的影响。最近的几次风暴清楚地提供了这方面的证据。
“更快形成、滞留更久”
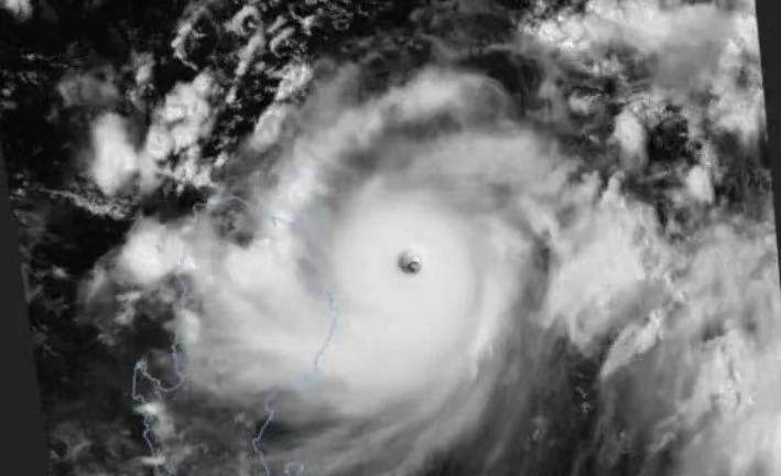
另一方面,随着全球海洋变暖的范围越来越广,科学家们认为,热带风暴更有可能发生“快速强化”的生成和更慢消失的过程。今年大西洋飓风“ 艾达”和目前正在我国东部沿海的台风“ 灿都”都是这样的例子。
“灿都”自9月7日生成后,8日便快速加强为超强台风,其强度发展超预期,增强如此之快实属罕见。而飓风“艾达”从雷达上的一个小点迅速发展成为一场四级飓风在新奥尔良登陆,仅用了74小时。
这背后,异常温暖的海水为风暴创造了形成和“发展壮大”的“高速路径”——它为暴风雨提供了能量,并让它“开花结果”。2020年袭击美国的三个最具破坏性的飓风——汉娜(Hanna)、劳拉(Laura)和萨莉(Laura)——都在登陆前迅速加强。
2020年一项发表在《自然》杂志上的研究发现,与50年前相比,热带风暴正向内陆移动得更远。飓风是由温暖的海水所推动的,通常在登陆后减弱,但近年来,一些飓风在登陆后肆虐的时间更长。这项研究的结论是,海洋表面温度的升高会增加飓风带来的湿度,导致更多的降雨和“缓慢的衰变”。
简而言之,风暴的形成速度正在变得越来越快,到达陆地的时间也越来越短,在一些地区滞留的时间也有可能越来越长。
此外,尽管还需要更多的证据来理清其中的联系,科学家们注意到:近年来更多的热带风暴正在朝着前较少出现的高纬度地区而去,这使更多的城市暴露在风暴的风险之下。
《科学美国人》的报道指出,比如,中国东北和日本人口密集的海岸线正在经历比几十年前频繁2到3倍的风暴,而像菲律宾这样的低纬度群岛经历的风暴在减少。
2020年9月里短短半个月内,中国东北地区就遭到三个台风“连击”,为历史首次。吉林、黑龙江有49个国家级观测站的日降雨量突破了9月历史极值。
“越来越多的证据表明,热带风暴路径发生了系统性的变化,这种变化不容易用自然原因来解释。”报道说。